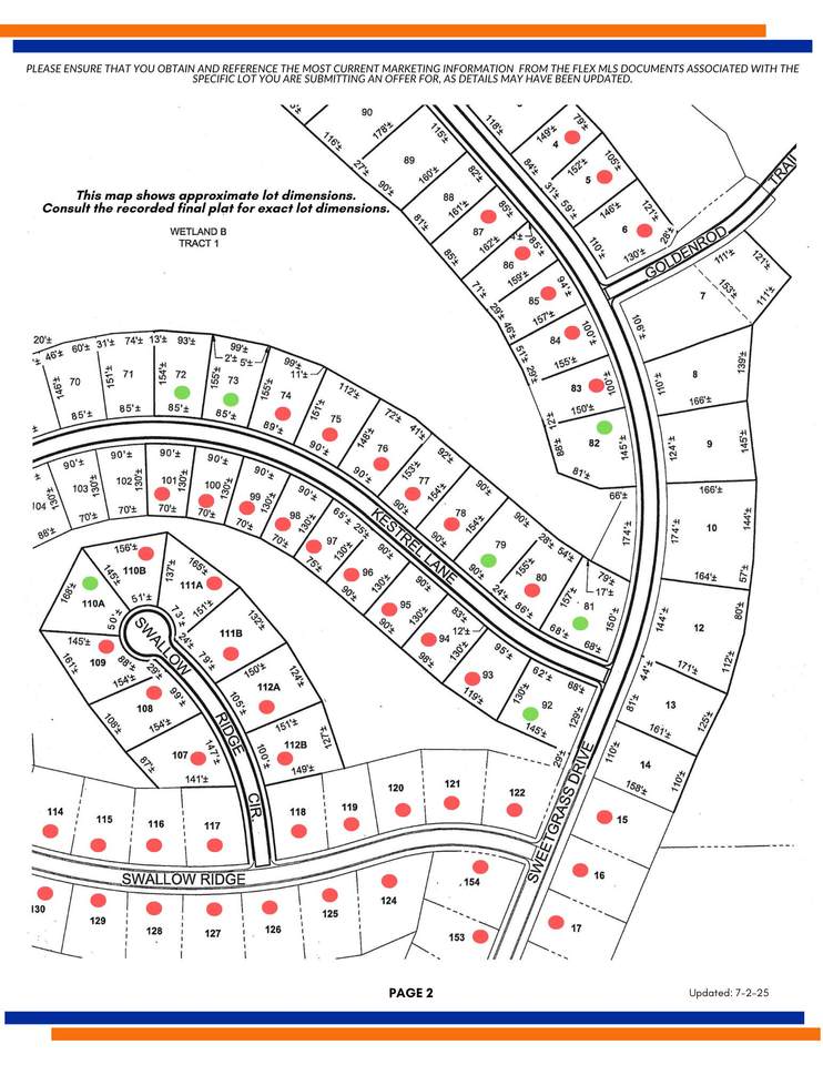
Description
Capture the Lifestyle at Prairie Hills & the convenience to Brookings newest school. These residential building lots offer open, common areas with extended views & the amenities of a Master Planned Development. Lots 87 & 88, Block 11 are zoned R-3/multiple housing. See photos & prairiehillsinfo.com for more available lots & pricing. AGENTS: Please see attached documents for covenants, fencing & shed regulations, lot map, general plan of development & location of standard, daylight, crawl space/slab on grade & walk-out lots. Prices subject to change. Jacob Mills is a member of Prairie Hills LLC and is a licensed SD real estate broker. Agents-There is a special Purchase Agreement for Prairie Hills Residential Lots, see documents. Association fee is currently $206.00/year. Subject to change.
-
0BEDS
-
N/AACRES
-
0BATHS
-
01/2 BATHS
School Ratings & Info
Description
Capture the Lifestyle at Prairie Hills & the convenience to Brookings newest school. These residential building lots offer open, common areas with extended views & the amenities of a Master Planned Development. Lots 87 & 88, Block 11 are zoned R-3/multiple housing. See photos & prairiehillsinfo.com for more available lots & pricing. AGENTS: Please see attached documents for covenants, fencing & shed regulations, lot map, general plan of development & location of standard, daylight, crawl space/slab on grade & walk-out lots. Prices subject to change. Jacob Mills is a member of Prairie Hills LLC and is a licensed SD real estate broker. Agents-There is a special Purchase Agreement for Prairie Hills Residential Lots, see documents. Association fee is currently $206.00/year. Subject to change.
© 2026 East Central Board of Realtors MLS. All rights reserved. IDX information is provided exclusively for consumers' personal, non-commercial use and may not be used for any purpose other than to identify prospective properties consumers may be interested in purchasing. Information is deemed reliable but is not guaranteed accurate by the MLS or Best Choice Real Estate. Data last updated: 2026-03-04T23:35:31.007.
